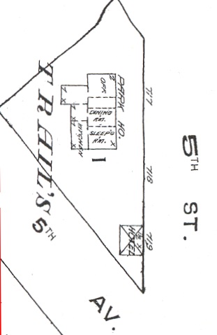
Park House

Also known as:  Arlington Hotel and Northwestern Hotel

The Park House stood where the jail now stands, and was built in the winter of 1874 and 1875, by William A. Rear, who also moved it to its present location in 1882.  (History of the Red River Valley Past and Present, Volume II, C. F. Cooper & Company, Chicago, 1909, Page 623)

The Arlington-Park Hotel.  This hotel comprises that of the Park House and the Arlington Hotel which were joined into one in 1900 and called the Arlington-Park Hotel, situated on Fifth street and Bruce avenue.  The Arlington was built on the corner of Third street and DeMers avenue in 1876.  In 1883 it was moved to the corner of Third street and International avueue and a third story added.  In 1900 it was moved to the head of Bruce avenue and Fifth street and connected with the Park Hotel and run by A. Knudson, and stands on block number (1) of Traill’s Addition, occupying the whole block.  The Park Hotel was the first school house in Grand Forks.  It was moved from the southeast corner of the present court house grounds in 1882 to the present site.  The Arlington-Park Hotel is doing a thriving business, its seventy-five bedrooms being kept in almost constant use.  The house is steam heated and has all modern improvements.  Mr. A. Knudson, the proprietor, came to Grand Forks in 1882 from Faribault, Minn.  He ran the Arlington when it was on Third street, and moved in 1900 to where they both now stand.  In June, 1906, he purchased the property.  (History of the Red River Valley Past and Present, Volume II, C. F. Cooper & Company, Chicago, 1909, Page 625)